NOVO ACORDO: NOTIFICAÇÃO DE CONFRONTANTES REFERENTE A REGULARIZAÇÃO FUNDIÁRIA DA VILA DO HOLANDES

por Wenina — 19/10/2022 às 09:04 — em Cidades

Aos Senhores

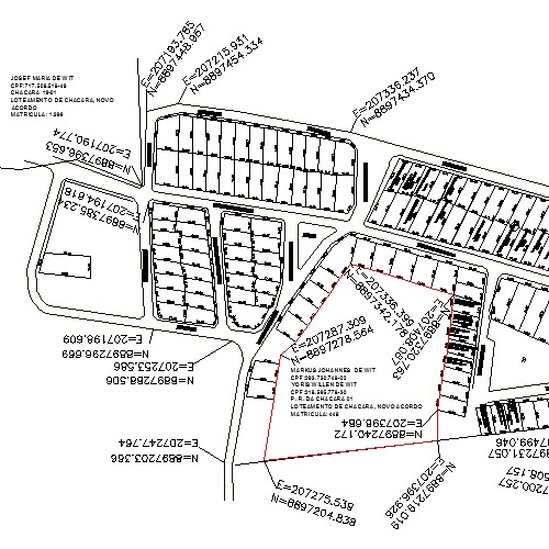
Markus Johannes de Wit, CPF: 293.730.748-02, RG: 32.188.608-2 SSP/SP e Yoris Willen de Wit, CPF: 218.595.778-30, RG: 34.008.948-9 SSP/SP residentes e domiciliados na Gleba 12-C, Sitio Pedra Grande, na Cidade de Holambra-SP.

Assunto: Notificação de abertura de procedimento administrativo de Regularização Fundiária

Senhores titular de direito real na matrícula [R-5- 448]

Informo que está em trâmite neste Município um processo administrativo para fins de Regularização Fundiária de Interesse Social, sob o decreto nº 174 de 15 de dezembro de 2021, e decreto Nº 181 de 10 de outubro de 2022 da área de 67.351,74 m², localizada na Vila do Holandês, com a coordenadas georreferenciada do perímetro a seguir:

O perímetro acima está inserido na seguinte matrícula, no cartório de Registro de Imóveis de Novo Acordo-TO: R-1-2.288

ROL DE CONFRONTANTE

Como o imóvel de vossa senhoria é confrontante da área demarcada, NOTIFICO-O para que se manifeste, caso queira, no prazo de 30 dias, sob

Pena de a ausência de impugnação implicar na perda de eventual direito que o notificado titularize sobre o imóvel objeto da Reurb, nos termos do art. 20, § 6º da Lei nº 13.465/2017, ciente de que a notificação não será renovada no caso de titulação final a ser outorgada seja a de usucapião.

Os documentos referentes à demarcação urbanística ou regularização fundiária no rito do art. 31 da Lei 13.465017, estão à disposição para consulta na sede da Prefeitura Municipal, localizada na praça da feira antigo mercadão de Novo Acordo-TO, nº S/N, Centro, CEP: 77610-000, onde também receberá eventual impugnação ou anuência expressa.

Novo Acordo-TO 19 de outubro de 2022

Atenciosamente,

MUNICÍPIO DE NOVO ACORDO-TO

DEUZANY BATISTA DE CASTRO,

Prefeita Municipal.

***

Segue documento original

Compartilhe no:
MAIS NOTÍCIAS

Você pode gostar

Mateiros inicia cobrança da Taxa de Turismo Sustentável e exige guia nos atrativos

Medida entrou em vigor e busca organizar o turismo, preservar atrativos naturais...

Moradores comemoram recapeamento nas Arnos em obra da Prefeitura de Palmas

Obras avançam na avenida NS-01 com aplicação de Concreto Betuminoso Usinado a...